140 place 0

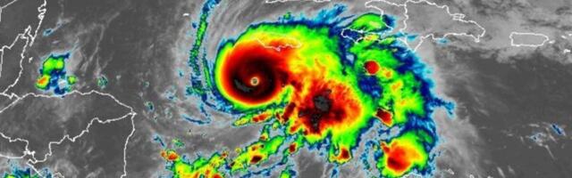
763 Hurricane Melissa Could Make 3 Landfalls in 3 Days, Ravaging the Caribbean

Gizmodo
Ellyn Lapointe @ Gizmodo · 10/27/2025 11:07 EDT

Hurricane Melissa Could Make 3 Landfalls in 3 Days, Ravaging the Caribbean

As Jamaica braces for what may be the most powerful storm in the island nation’s history, Cuba and the Lucayan Archipelago may face direct hits soon after.

To see detailed statistics for the news please log in »

Read the original

Add your comment
You must be logged in with Facebook to read and write comments.

A newsletter a day!

You may get 10 most important news around midday in daily newsletter. Press the button and we will send you the most important news only, no spam attached.

or register

LIKE us on Facebook so you won't miss the most important news of the day!

News from the same source
Gizmodo Gizmodo
Engadget
Lawrence Bonk @ Engadget 1 place · today 11:17 EDT

Pebble is making a weird little smart ring for recording thoughts

Pebble just announced the Index 01, a smart ring for recording thoughts. It's a little ring with a built-in microphone and that's about it. The Index 01 is almost anti-tech in its simplicity. There's no needless AI component shoehorned in, aside from speech-to-text. It's a ring with a microphone that you whisper ideas into and I want one. Here's how it works. You get an idea while walking down the... Read more

2,582 fresh

🔮
09.12.2025 ♊︎ Horoscope for the Gemini Zodiac Sign Today Dear Geminis, today your mood may be a... Read more ›
Business Insider
Bryan Metzger @ Business Insider 1 place · today 10:07 EDT

White House AI Czar says Trump isn't trying to force data centers on communities that don't want them

David Sacks said the Trump administration's effort to restrict state AI regulation won't "force communities to host data centers they don't want." Read more

1,305 fresh

Eurogamer.net
Ed Nightingale @ Eurogamer.net 1 place · today 10:23 EDT

Video game workers across Europe fight back against exploitation, AI and layoffs in "historic milestone" for union efforts

Video game workers from multiple unions across Europe have released a joint statement pledging a "united front" against industry exploitation. Read more Read more

1,130 fresh

Business Insider
Erin McDowell @ Business Insider 2 place · today 09:19 EDT

60 British slang words that will confuse anybody who didn't grow up in the UK

These British slang words will leave anyone outside the UK scratching their heads. Learn quirky British phrases and how to use them like a local. Read more

656 fresh

Engadget
Steve Dent @ Engadget 2 place · today 10:00 EDT

Spotify finally brings music videos to the US

Spotify is finally letting the United States join its music video party. Music Videos have started rolling out in beta today to Premium users across the US and Canada, offering not only official artist videos but also new formats like live performances and covers. Music Videos first arrived last year in 11 countries, but the United States wasn't one of them. The reason for that was simple — Spotify simply... Read more

648 fresh

Slashdot
BeauHD @ Slashdot 1 place · today 08:00 EDT

Science Journal Retracts Study On Safety of Monsanto's Roundup

An anonymous reader quotes a report from the Guardian: The journal Regulatory Toxicology and Pharmacology has formally retracted a sweeping scientific paper published in 2000 that became a key defense for Monsanto's claim that Roundup herbicide and its active ingredient glyphosate don't cause cancer. Martin van den Berg, the journal's editor in chief, said in a note accompanying the retraction that he had taken the step because of "serious ethical... Read more

447 fresh

CoinDesk
Helene Braun @ CoinDesk 1 place · today 09:07 EDT

PNC Bank Rolls Out Spot Bitcoin Access for Private Clients After 2025 Reveal

The Coinbase-backed feature, first announced in July, lets PNC clients buy, sell and hold bitcoin directly in their digital banking accounts. Read more

402 fresh

Engadget
Igor Bonifacic @ Engadget 3 place · today 10:30 EDT

The AI boom could soon send GPU prices soaring, so now's a good time to buy one

When someone asks me for gadget buying advice, I normally tell them to stick with their current device. In 2025, most new tech products aren't a worthwhile upgrade over even something that was released a few years ago — and with the price of everything going up, that new iPhone can wait. But things aren't normal right now. On December 3, The Wall Street Journal reported memory manufacturer Micron would... Read more

392 fresh

Slashdot
msmash @ Slashdot 2 place · today 09:41 EDT

Microsoft Excel Turns 40, Remains Stubbornly Unkillable

Microsoft Excel, the 40-year-old spreadsheet application that helped establish personal computers as essential workplace tools and contributed to Microsoft's current valuation of nearly $4 trillion, has weathered both the rise of cloud computing and the current AI boom largely unscathed. In its most recent quarter, commercial revenue for Microsoft 365 -- the bundle including Excel, Word, and PowerPoint -- increased 17% year over year, and consumer revenue rose 28%. The... Read more

376 fresh

Engadget
Engadget @ Engadget · today 09:00 EDT

Tech's biggest losers of 2025

It’s the end of another year, so it’s time for the Engadget staff to compile a list of the year’s biggest losers. We scour over articles from the previous 12 months to determine the people, companies, products and trends that made our lives worse over the course of the year. Some selections may be so pervasive they actually make our list of biggest winners. But, for the most part, we’re... Read more

376 fresh

Business Insider
Veronica Thatcher @ Business Insider 3 place · today 08:02 EDT

I've worked at Costco for 20 years. Here are 7 of the best holiday gifts I'm seeing on shelves right now.

As a longtime employee, I think the Shark CryoGlow mask and Yankee candle set are some of the best things to get at Costco as holiday gifts this year. Read more

372 fresh

Business Insider
Ayelet Sheffey @ Business Insider · today 11:03 EDT

Trump deals a final blow to a key student-loan repayment plan. Millions of borrowers may soon have to resume repaying their debt.

Trump announced a proposed settlement to end the SAVE student-loan repayment plan. Borrowers would resume payments "in the coming weeks." Read more

367 fresh

Business Insider
Pete Syme @ Business Insider · today 07:07 EDT

A British Airways flight to nowhere had to circle 6 times before landing when its wheels got stuck

The British Airways flight returned to Edinburgh an hour after takeoff due to a "technical issue," forcing other flights to divert as well. Read more

317 fresh

Wired
Katie Drummond @ Wired 1 place · today 06:30 EDT

San Francisco Mayor Daniel Lurie: ‘We Are a City on the Rise’

Since taking office, San Francisco’s mayor has been on a quest to revitalize the city and increase public safety. He’s also kept the National Guard out—with a little help from some very powerful friends. Read more

311 fresh

Wired
Louryn Strampe @ Wired 2 place · today 07:07 EDT

The 26 Best Advent Calendars (2025): It's OK if You Start Late

Treat yourself or someone else to days of little gifts, ranging from sweet treats and savory beverages to beauty products and toys. We found a tiny door for everyone. Read more

296 fresh

Business Insider
Tom Carter @ Business Insider · today 07:18 EDT

Jeep and Ram maker Stellantis is bringing tiny cars to the US after Trump said he was a fan

The auto conglomerate, which owns Jeep and Ram, confirmed that it would bring the Fiat Topolino — a 2.5-meter-long electric tiny car — to the US. Read more

290 fresh

Business Insider
Aditi Bharade @ Business Insider · today 00:04 EDT

Trump says he just wants to 'do what's right' in the Warner deal

Trump said he wants to "do what's right" in the media war brewing between Netflix, Paramount, and Warner Bros. Read more

280

Business Insider
Ayelet Sheffey @ Business Insider · today 09:10 EDT

Tell us what you think about the future of capitalism

Business Insider is exploring the future of capitalism in the US, and we want to hear from you. Read more

279 fresh

The most popular news from the same source for the last week
Gizmodo Gizmodo
Gizmodo
Germain Lussier @ Gizmodo 2 place · 12/05/2025 14:30 EDT

It’s Official: The Original Theatrical Cut of ‘Star Wars’ Is Coming Back to Theaters

Lucasfilm is celebrating the film's 50th anniversary on February 17, 2027, in the best possible way. Read more

2,333

Gizmodo
Justin Carter @ Gizmodo 1 place · 12/06/2025 10:30 EDT

No One Is Happy About Netflix Buying Warner Bros.

The people and industry have spoken: Netflix potentially buying Warner Bros. for $83 million is pretty bad! Read more

490

Gizmodo
James Pero @ Gizmodo · 12/04/2025 16:30 EDT

Looks Like We Can Finally Kiss the Metaverse Goodbye

It appears Meta's Horizon Worlds may literally and figuratively not have legs after all. Read more

389

Gizmodo
James Whitbrook @ Gizmodo · 12/02/2025 15:00 EDT

Amazon Quietly Rolls Back Its AI Anime Dubs After Massive Backlash

As quickly as they arrived, many of Prime Video's controversial generated dubs have been removed from the streamer. Read more

185

Gizmodo
Germain Lussier @ Gizmodo · 12/04/2025 12:10 EDT

A Bronze Statue of RoboCop Finally Stands Tall in Detroit

It took the better part of two decades, but a monument to the 1987 Paul Verhoeven classic is now on display. Read more

145

Gizmodo
James Whitbrook @ Gizmodo · 12/04/2025 13:27 EDT

Nic Cage Is Playing Ben Reilly in ‘Spider-Noir’

Spider-Man Noir is swinging to Prime Video next year... but not with the name you're expecting. Read more

129

Most popular sources

  • You see 898 news out of 898.
  • Sources 61 out of 61.
Business Insider 20% 4
Tom's Hardware 20% 20
Wired 12% 11
Gizmodo 12% 9
Android Authority 6% 4
View sources »

LIKE us on Facebook so you won't miss the most important news of the day!

09.12.2025 11:41
Last update: 11:35 EDT.
News rating updated: 18:31.

What is Times42?

Times42 brings you the most popular news from tech news portals in real-time chart.
Read about us in FAQ section.


Times42 © 2025